Compania Syngenta a continuat si in acest an traditia de a organiza evenimente dedicate viticultorilor din toata tara, menite sa aduca ultimele noutati in materie de protectia plantelor, a bunelor practici agricole, dar si a impartasirii experientelor intre cultivatori. Asadar, in cadrul celei de-a cincea editii a Forumului dedicat specialistilor in domeniu, organizat luna trecuta la Poiana Brasov, reprezentantii Syngenta au abordat problemele intalnite in viticultura in acest an, precum: fainarea, molia strugurilor, putregaiul cenusiu, dar si subiecte legate de standardele de calitate ale vinului. De asemenea, in cadrul Forumului, au mai fost abordate teme privind utilizarea in siguranta a produselor de protectia plantelor, dar si cu ce noutati vine compania in 2018.
Adio, fainare cu Thiovit Jet, Topas, Dynali si Universalis!
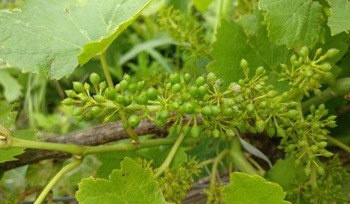
Syngenta vine in sprijinul viticultorilor cu un portofoliu complex care se adreseaza principalelor boli si celor mai importanti daunatori in cultura vitei de vie, fiind un important lider de piata in protectia plantelor la aceasta cultura. Problema fainarii in sezonul trecut, o boala tot mai raspandita la nivel national a fost pe larg dezbatuta in cadrul Forumului de la Poiana Brasov. Din cauza conditiilor de temperatura si umiditate in care se poate dezvolta, fainare este prezenta in aproape toate stadiile de dezvoltare ale plantei. In combaterea acestui agent patogen, Syngenta propune un program ce cuprinde produse de protectia plantelor care apartin diferitelor clase chimice, lucru extrem de important in prevenirea aparitiei fenomenului de rezistenta. Produsele Syngenta pentru combaterea fainarii acopera tratamentele necesare in fenofazele – de la lastar 5-7 cm si pana la parga, si anume, fungicidele: Thiovit Jet, Topas, Dynali si Universalis.
Ce solutie aplicam pentru combaterea moliei?
„Molia vitei de vie – Lobesia botrana, reprezinta o problema in crestere in podgoriile din Romania”, a declarat in cadrul evenimentului, Andreea Caimac, manager produs culturi horticole. „Produsul Affirm asigura o combatere excelenta al tuturor stadiilor larvare ale acestui daunator, un insecticid folosit cu succes in toate culturile horticole. Incepand cu 2017, tot mai multi viticultori de la marile podgorii au folosit Affirm pentru combaterea moliei vitei de vie si au fost extrem de multumiti de eficacitatea dovedita a produsului”, a explicat Andreea Caimac.
O alta tema abordata de specialistii Syngenta a fost cea referitoare la putregaiul cenusiu. In acest context, Simon Arnsek, expert tehnic produse de protectia plantelor pentru sud-estul Europei, a vorbit despre aceasta boala cu care se confrunta destul de des viticultorii.
Syngenta pregateste mai multe noutati in viticultura, cu scopul de a raspunde cerintelor specifice venite din piata, incluzand o formulare specifica a unui produs pe baza de cupru, care sa se potriveasca in programele „organice” de combatere. Incepand cu acest an, fermierii pot urmari recomandarile si programele Syngenta si pe pagina oficiala de facebook a companiei.
Pentru a primi Sănătatea Plantelor în format tipărit, vă rugăm să vă abonați aici.


