Printre cele 1200 de specii de acarieni/paianjeni apartinand familiei Tetranychidae, paianjenul rosu comun, “se bucura” de o distributie cosmopolita,...
Viticultură
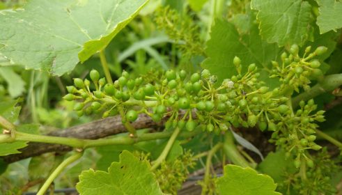
Organele vegetative in crestere ale vitei de vie au un continut ridicat de apa, ceea ce le face susceptibile...
Schimbarile climatice, tot mai evidente in ultimii ani, care se manifesta prin variatiile bruste ale temperaturii, ninsori abundente in...
Odata cu venirea primaverii si reluarea ciclului vegetativ al plantelor apar si riscurile de imbolnavire. Diferiti agenti patogeni care...
Toti pentru vin este platforma dedicata tuturor viticultorilor din Romania: cei care se concentreaza pe calitate, cei noi, dar...
Mana vitei de vie (Plasmopara viticola) este cea mai pagubitoare boala a acestei culturi, atacand toate organele verzi (lastarii...
27 de finalisti in concursul BASF pentru viticultori mici si mijlocii din Romania Singurul concurs desfasurat la nivel national, dedicat...
Bucuresti / Romania, 12 august, 2020 Syngenta a lansat in data de 11 august platforma de e-commerce „TOTI PENTRU...
Plantele de cultura sunt atacate de un numar mare de boli, dar dintre acestea, mana, chiar si dupa un...
Conform prognozelor meteo emise de catre Administratia Nationala de Meteorologie si Hidrologie din Romania, in perioada imediat urmatoare vom...
Precipitatiile cazute in ultima perioada alterneaza volumetric de la o podgorie la alta si chiar de la un trup...
Cultivarea vitei de vie (Vitis vinifera) si producerea de vin au fost atestate documentar inca din cele mai vechi...
Iarna dintre anii 2019-2020 a fost una blanda, fara ingheturi, ce a permis ca principalii patogeni ai vitei de...
Luna mai alaturi de luna iunie sunt cele mai importatnte luni din punct de vedere al sensibilitatii vitei de...
Odata cu venirea primaverii si reluarea ciclului vegetativ al plantelor apar si riscurile de imbolnavire. Diferiti agenti patogeni care...
